| Copyright © King's Printer, Victoria, British Columbia, Canada | Licence Disclaimer |
| B.C. Reg. 337/95 O.C. 1027/95 | Deposited August 18, 1995 effective September 18, 1995 |
[includes amendments up to B.C. Reg. 104/2018, June 1, 2018.]
1.1 Subject to section 5 (3) of the Access to Abortion Services Act, the access zone for the facility operated by the Everywoman's Health Centre Society (1988) at 2525 Commercial Drive in the city of Vancouver is established as the area within the heavy outline shown on the plan in Appendix 1.1.
[en. B.C. Reg. 106/2002, s. 1 (a).]
2.1 Subject to section 5 (3) of the Access to Abortion Services Act, the access zone for the facility operated by the Elizabeth Bagshaw Society at 1177 West Broadway in the City of Vancouver is established as the area within the heavy outline shown on the plan in Appendix 2.1.
[en. B.C. Reg. 277/2000, s. 1.]
3 Subject to section 5 (3) of the Access to Abortion Services Act, the access zone for the facility operated by the Vancouver Hospital and Health Services Centre at 795 West 13th Avenue in the City of Vancouver is established as the area within the heavy outline shown on the plan in Appendix 3.
[en. B.C. Reg. 385/98, s. (a).]
4 Subject to section 5 (3) of the Access to Abortion Services Act, the access zone for the facility operated by the Vancouver Hospital and Health Services Centre at 899 West 12th Avenue in the City of Vancouver is established as the area within the heavy outline shown on the plan in Appendix 4.
[en. B.C. Reg. 385/98, s. (a).]
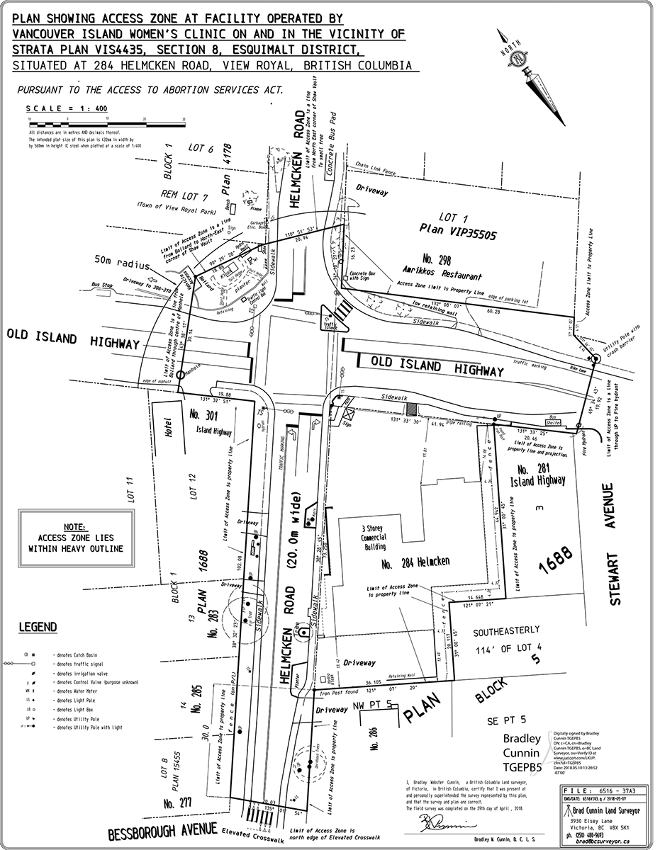
5 Subject to section 5 (3) of the Access to Abortion Services Act, the access zone for the facility operated by the Vancouver Island Women's Clinic at 104 — 284 Helmcken Road in the Town of View Royal is established as the area within the heavy outline on the plan in Appendix 5.
[en. B.C. Reg. 104/2018, s. (a).]
Repealed. [B.C. Reg. 106/2002, s. 2.]
[en. B.C. Reg. 106/2002, s. 1 (b).]

Repealed. [B.C. Reg. 277/2000, s. 2.]
[en. B.C. Reg. 277/2000, s. 1.]

[en. B.C. Reg. 385/98, s. (b).]

[en. B.C. Reg. 385/98, s. (b).]

[en. B.C. Reg. 104/2018, s. (b).]

Note: The appendices are exempt from publication, but for the sake of convenient reference they are shown here at approximately one quarter their original size. You may inspect a full size copy at the office of the Surveyor General, 3400 Davidson Avenue, Victoria, B.C. V8Z 3P8.
Provisions relevant to the enactment of this regulation: Access to Abortion Services Act, R.S.B.C. 1996, c. 1, ss. 5 (1) and 15]
Copyright © King's Printer, Victoria, British Columbia, Canada